2685 Carver Avenue E, Saint Paul, MN 55119

$105,000
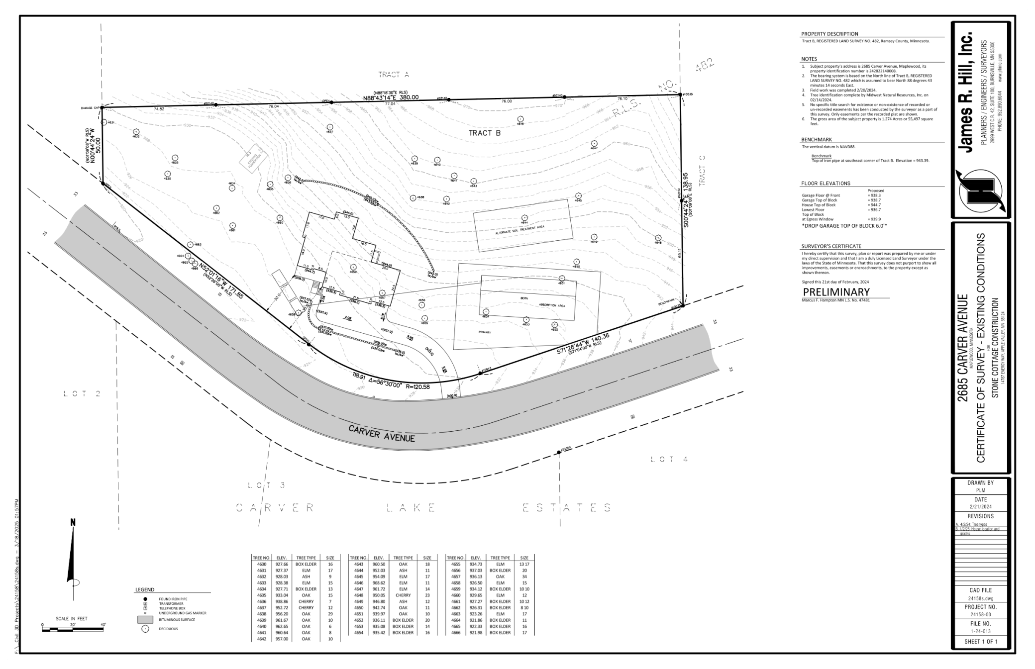
Property Type: Land Lot Size (sq. ft.): 55,321 Status: Pending
Current Price: $105,000 List Date: 4/06/2026 Last Modified: 4/15/2026

Overview

Description

Spectacular Southwest-Facing Views Overlooking the Mississippi River Valley & Fish Creek Nature Preserve Discover the perfect blend of privacy, nature, and opportunity on this stunning 1.27-acre high-ground wooded lot. Nestled among mature trees with abundant wildlife, this secluded property offers breathtaking views and a peaceful setting that’s hard to find. Located just minutes from Carver Lake Park, you’ll enjoy easy access to 126 acres of outdoor recreation, including scenic hiking and biking trails, a swimming beach, playgrounds, and picnic areas. Open to all builders—bring your vision and create your dream home in this serene natural retreat.

Listing Details MLS# 7046387

General Property Information

Comp Sale YN
No
Development
No
Lot Measurement
Acres
Multiple PIDs?
No
Plat Recorded
Yes
Waterfront Present
No
Yearly/Seasonal
Yearly
Zoning
Lot
Lot Dimensions
430x50x380x139
Acres
1.27
Assessment Pending
No
Association Fee
0

Property Features

Available Utilities: Electricity Available; Natural Gas Available; None Connected; Phone Available Development Status: Raw Land Improvements: Curbs; Paved Streets Land Inclusions: Survey; Survey Stakes Sellers Terms: Cash; Conventional Topography: Other

Contract Information

Off Market Date
2026-04-15
Contingency
None
Original List Price
105000
ListPrice
105000
Owner is an Agent?
No
Auction?
No

Location Tax and Other Information

House Number
2685
Street Name
Carver
Street Suffix
Avenue
Street Direction Suffix
E
Postal City
Saint Paul
County
Ramsey
State
MN
Zip Code
55119

Assessments

Tax With Assessments
1982
Assessment Balance
0

Builder Information

Builder Restrictions
Open

More Information

Lease Details

Land Leased
Not Applicable

Miscellaneous Information

Homestead
No

Ownership

Fractional Ownership
No

Public Survey Info

Range#
22
Section#
24
Township#
28

Office/Member Info

Association
MAAR

Location, Tax and Other Information

AssocFeeYN
No
Legal Description
REGISTERED LAND SURVEY 482 TRACT B
Listing City
Maplewood
Map Page
123
Municipality
Maplewood
School District
North St Paul-Maplewood
School District Phone
651-748-7410
Zip Plus 4
7500
Property ID Number
242822140008
Tax Year
2025
Tax Amount
1982
In Foreclosure?
No
Potential Short Sale?
No
Lender Owned?
No

Directions & Remarks

Public Remarks
Spectacular Southwest-Facing Views Overlooking the Mississippi River Valley & Fish Creek Nature Preserve Discover the perfect blend of privacy, nature, and opportunity on this stunning 1.27-acre high-ground wooded lot. Nestled among mature trees with abundant wildlife, this secluded property offers breathtaking views and a peaceful setting that’s hard to find. Located just minutes from Carver Lake Park, you’ll enjoy easy access to 126 acres of outdoor recreation, including scenic hiking and biking trails, a swimming beach, playgrounds, and picnic areas. Open to all builders—bring your vision and create your dream home in this serene natural retreat.
Directions
494 to Lake Road, west to Century, south to Carver, west to lot.

Development Status

Raw Land
Yes

Insurance Fee

Insurance Fee
0

Restriction/Covenants

None
Yes

Sellers Terms

Cash
Yes
Conventional
Yes

Topography

Other
Yes

Available Utilities

Electricity Available
Yes
Natural Gas Available
Yes
None Connected
Yes
Phone Available
Yes

Improvements

Curbs
Yes
Paved Streets
Yes

Land Inclusions

Survey
Yes
Survey Stakes
Yes
Listing Office: Pemberton RE
IDX
Last Updated: April - 15 - 2026
The data relating to real estate for sale on this web site comes in part from the Broker Reciprocity SM Program of the Regional Multiple Listing Service of Minnesota, Inc. The information provided is deemed reliable but not guaranteed. Properties subject to prior sale, change or withdrawal. ©2024 Regional Multiple Listing Service of Minnesota, Inc All rights reserved.